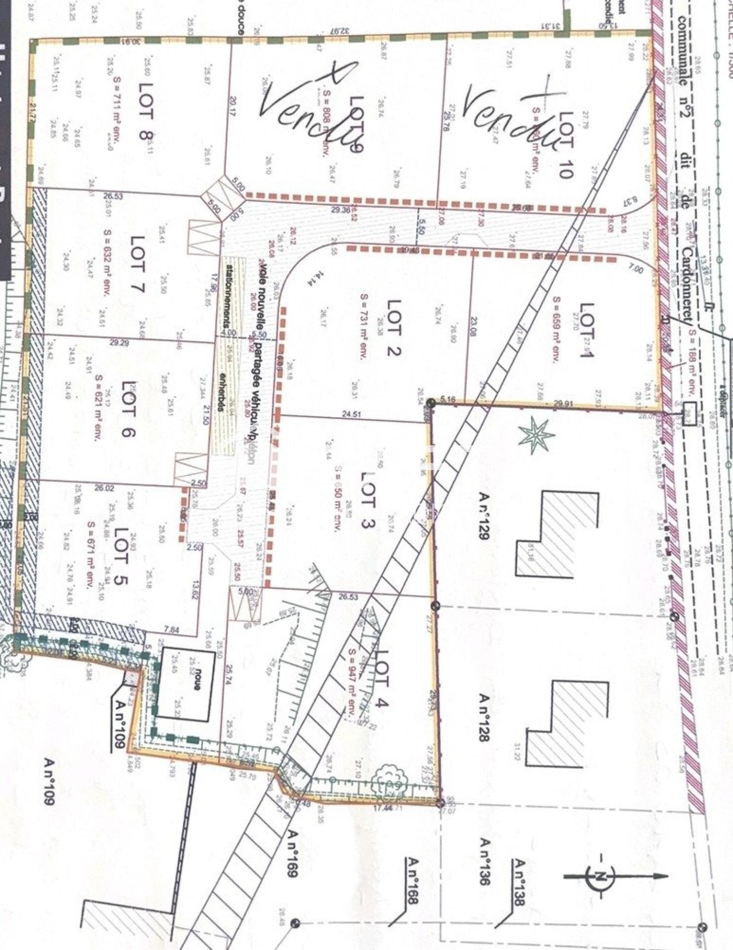
Terrain à vendre à CARDONVILLE de 947m²65 555 €
Réf 1624986
Aperçu de ce terrain à vendre de 947 m²
Terrain
947m²
947m²
Description de ce terrain à vendre de 947 m²
proche de la 2*2 voies direction Caen ou Cherbourg
LOTISSEMENT DE CHARME EN CAMPAGNE, PROCHE MER
Découvrez ce programme de 8 parcelles de terrain viabilisées, idéalement situé dans un environnement calme et verdoyant, au prix attractif de 65 € / m².P4
Un emplacement privilégié :
À seulement 2 km du rond-point desservant la voie rapide 2x2 voies direction Bayeux / Caen
Accès rapide : 4 minutes en voiture pour rejoindre la 2x2 voies vers Cherbourg
4 minutes en voiture pour accéder à la coopérative Isigny Sainte-Mère
Vie quotidienne facilitée :
Écoles primaires et collège rapidement accessibles sur Isigny et Osmanville
Commerces et services à proximité
Un cadre de vie recherché :
Terrains situés en pleine campagne, au calme
Parcelles entièrement viabilisées (eau, électricité…)
Environnement paisible, idéal pour une résidence principale ou secondaire
Entre terre et mer :
À seulement 4 km de Grandcamp-Maisy
Proximité immédiate du port et du littoral
À proximité des plages du Débarquement, secteur chargé d’histoire et très prisé
Un investissement de qualité :
Ces terrains offrent un fort potentiel de valorisation dans un secteur recherché, alliant accessibilité, qualité de vie et attractivité touristique.
Dossier complet et visites sur demande.
Opportunité rare à ne pas manquer !
Les informations sur les risques auxquels ce bien est exposé sont disponibles sur le site Géorisques : www.georisques.gouv.fr
Prix de vente : 65 555 €
Honoraires charge vendeur
Contactez votre conseiller SAFTI : Amandine CADIOUX, Tél. : 0612636046, E-mail : amandine.cadioux@safti.fr - EI - Agent commercial immatriculé au RSAC de CAEN sous le numéro 994073062
Découvrez ce programme de 8 parcelles de terrain viabilisées, idéalement situé dans un environnement calme et verdoyant, au prix attractif de 65 € / m².P4
Un emplacement privilégié :
À seulement 2 km du rond-point desservant la voie rapide 2x2 voies direction Bayeux / Caen
Accès rapide : 4 minutes en voiture pour rejoindre la 2x2 voies vers Cherbourg
4 minutes en voiture pour accéder à la coopérative Isigny Sainte-Mère
Vie quotidienne facilitée :
Écoles primaires et collège rapidement accessibles sur Isigny et Osmanville
Commerces et services à proximité
Un cadre de vie recherché :
Terrains situés en pleine campagne, au calme
Parcelles entièrement viabilisées (eau, électricité…)
Environnement paisible, idéal pour une résidence principale ou secondaire
Entre terre et mer :
À seulement 4 km de Grandcamp-Maisy
Proximité immédiate du port et du littoral
À proximité des plages du Débarquement, secteur chargé d’histoire et très prisé
Un investissement de qualité :
Ces terrains offrent un fort potentiel de valorisation dans un secteur recherché, alliant accessibilité, qualité de vie et attractivité touristique.
Dossier complet et visites sur demande.
Opportunité rare à ne pas manquer !
Les informations sur les risques auxquels ce bien est exposé sont disponibles sur le site Géorisques : www.georisques.gouv.fr
Prix de vente : 65 555 €
Honoraires charge vendeur
Contactez votre conseiller SAFTI : Amandine CADIOUX, Tél. : 0612636046, E-mail : amandine.cadioux@safti.fr - EI - Agent commercial immatriculé au RSAC de CAEN sous le numéro 994073062
Ce bien vous est proposé par :

Amandine Cadioux
Saint-Martin-De-Blagny (14710)
20 biens en portefeuille
Je souhaite être recontacté
Un de vos proches a un projet immobilier ?
Achat ou vente, transmettez-moi l’info via l’appli SAFTI Connect et gagnez 875€ en moyenne.







