Terrain à vendre à MALLEMORT de 448m²178 000 €
Réf 1525900
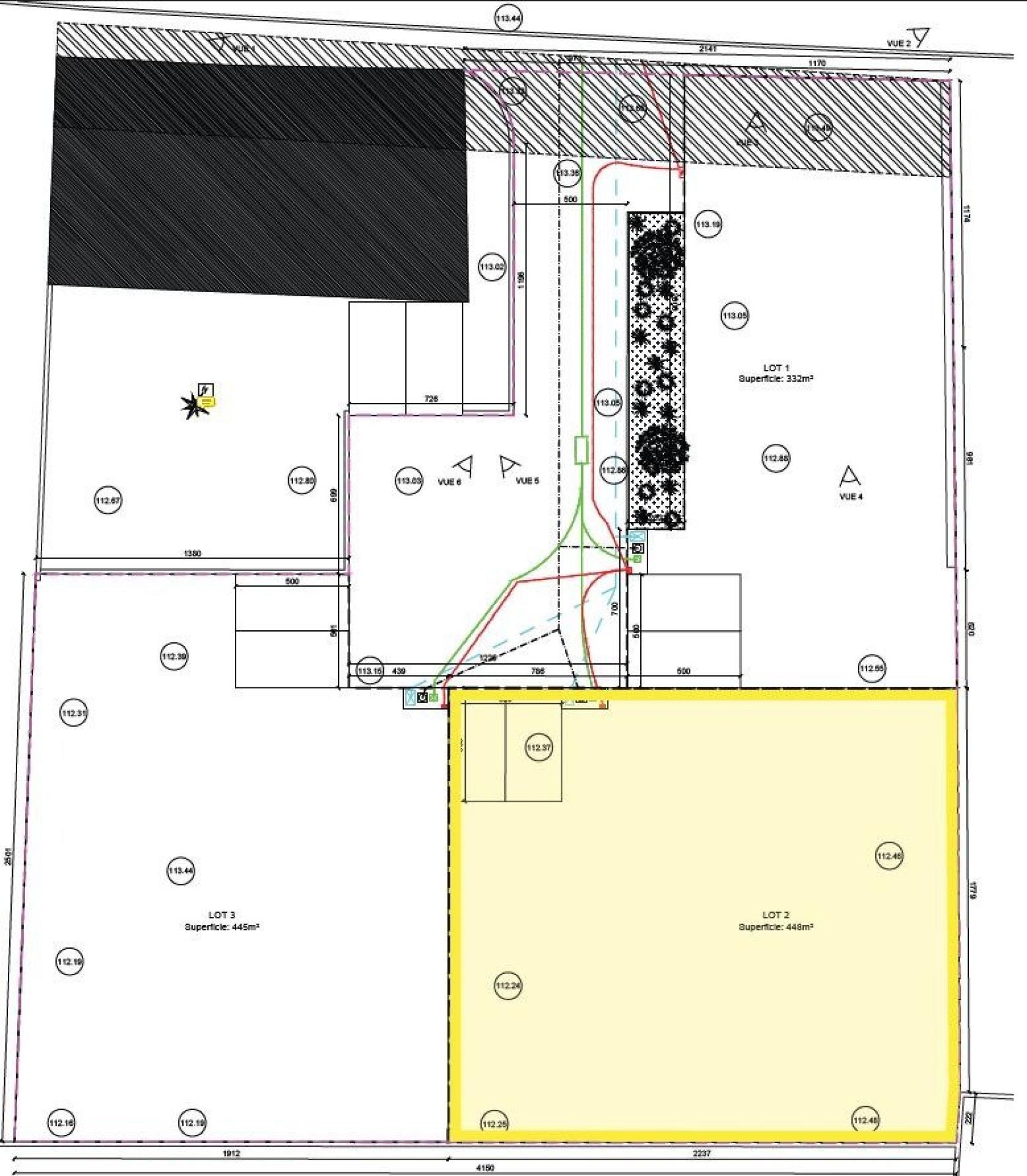
Aperçu de ce terrain à vendre de 448 m²
Terrain
448m²
448m²
Le point fort de ce terrain
Libre constructeur
Description de ce terrain à vendre de 448 m²
Terrain constructible plat, viabilisé, avec permis
Situé sur un emplacement privilégié à 400m à pied du centre de Mallemort, au 133 Avenue de Craponne, terrain plat et constructible orienté Sud d'une surface de 448 m². Commodités, transports et établissements scolaires à proximité.
Terrain vendu :
- Entièrement viabilisé à neuf (Eau AEP - EDF - tout à l'égout EU/EV - PTT) ;
- Avec un permis de construire accepté réalisé par un architecte : maison individuelle T5 en R+1 de 120.57 m², garage de 26.7 m², terrasse de 37.02 m², piscine et deux places de stationnements devant le garage. Permis modifiable ;
- LIBRE CONSTRUCTEUR ;
- Avec chemin d'accès, espace vert et local poubelle créés à neuf (communs pour le lotissement de 3 lots).
PLU zone UB : L’emprise au sol totale des constructions est limitée à 40% de la superficie du terrain, la hauteur maximale des constructions est limitée à 7 m à l’égout de la toiture (1 étage), et la hauteur maximale des annexes est limitée à 3 mètres à l’égout et 5 m au faitage. Piscinable. Les espaces non imperméabilisés (traités et plantés) ou éco aménageables doivent représenter au moins 30% de la superficie du terrain.
Terrain lot n°2 résultant de la création du "Lotissement Les jardins de Gaia" (3 terrains constructibles à vendre, voir ma page), suite au permis d'aménager PA01305323P0002 accordé.
Dossier sur demande. N'hésitez pas à me contacter.
Les informations sur les risques auxquels ce bien est exposé sont disponibles sur le site Géorisques : www.georisques.gouv.fr
Prix de vente : 178 000 €
Honoraires charge vendeur
Contactez votre conseiller SAFTI : Mathias SOULIER, Tél. : 06 36 18 10 50, E-mail : mathias.soulier@safti.fr - EI - Agent commercial immatriculé au RSAC de AIX EN PROVINCE sous le numéro 879663607
Terrain vendu :
- Entièrement viabilisé à neuf (Eau AEP - EDF - tout à l'égout EU/EV - PTT) ;
- Avec un permis de construire accepté réalisé par un architecte : maison individuelle T5 en R+1 de 120.57 m², garage de 26.7 m², terrasse de 37.02 m², piscine et deux places de stationnements devant le garage. Permis modifiable ;
- LIBRE CONSTRUCTEUR ;
- Avec chemin d'accès, espace vert et local poubelle créés à neuf (communs pour le lotissement de 3 lots).
PLU zone UB : L’emprise au sol totale des constructions est limitée à 40% de la superficie du terrain, la hauteur maximale des constructions est limitée à 7 m à l’égout de la toiture (1 étage), et la hauteur maximale des annexes est limitée à 3 mètres à l’égout et 5 m au faitage. Piscinable. Les espaces non imperméabilisés (traités et plantés) ou éco aménageables doivent représenter au moins 30% de la superficie du terrain.
Terrain lot n°2 résultant de la création du "Lotissement Les jardins de Gaia" (3 terrains constructibles à vendre, voir ma page), suite au permis d'aménager PA01305323P0002 accordé.
Dossier sur demande. N'hésitez pas à me contacter.
Les informations sur les risques auxquels ce bien est exposé sont disponibles sur le site Géorisques : www.georisques.gouv.fr
Prix de vente : 178 000 €
Honoraires charge vendeur
Contactez votre conseiller SAFTI : Mathias SOULIER, Tél. : 06 36 18 10 50, E-mail : mathias.soulier@safti.fr - EI - Agent commercial immatriculé au RSAC de AIX EN PROVINCE sous le numéro 879663607
Ce bien vous est proposé par :

Mathias Soulier
Aix-En-Provence (13090)
53 biens en portefeuille
Je souhaite être recontacté
Un de vos proches a un projet immobilier ?
Achat ou vente, transmettez-moi l’info via l’appli SAFTI Connect et gagnez 875€ en moyenne.




