Appartement à vendre à PONT-DE-VEYLE de 63m²45 000 €
Réf 1476628
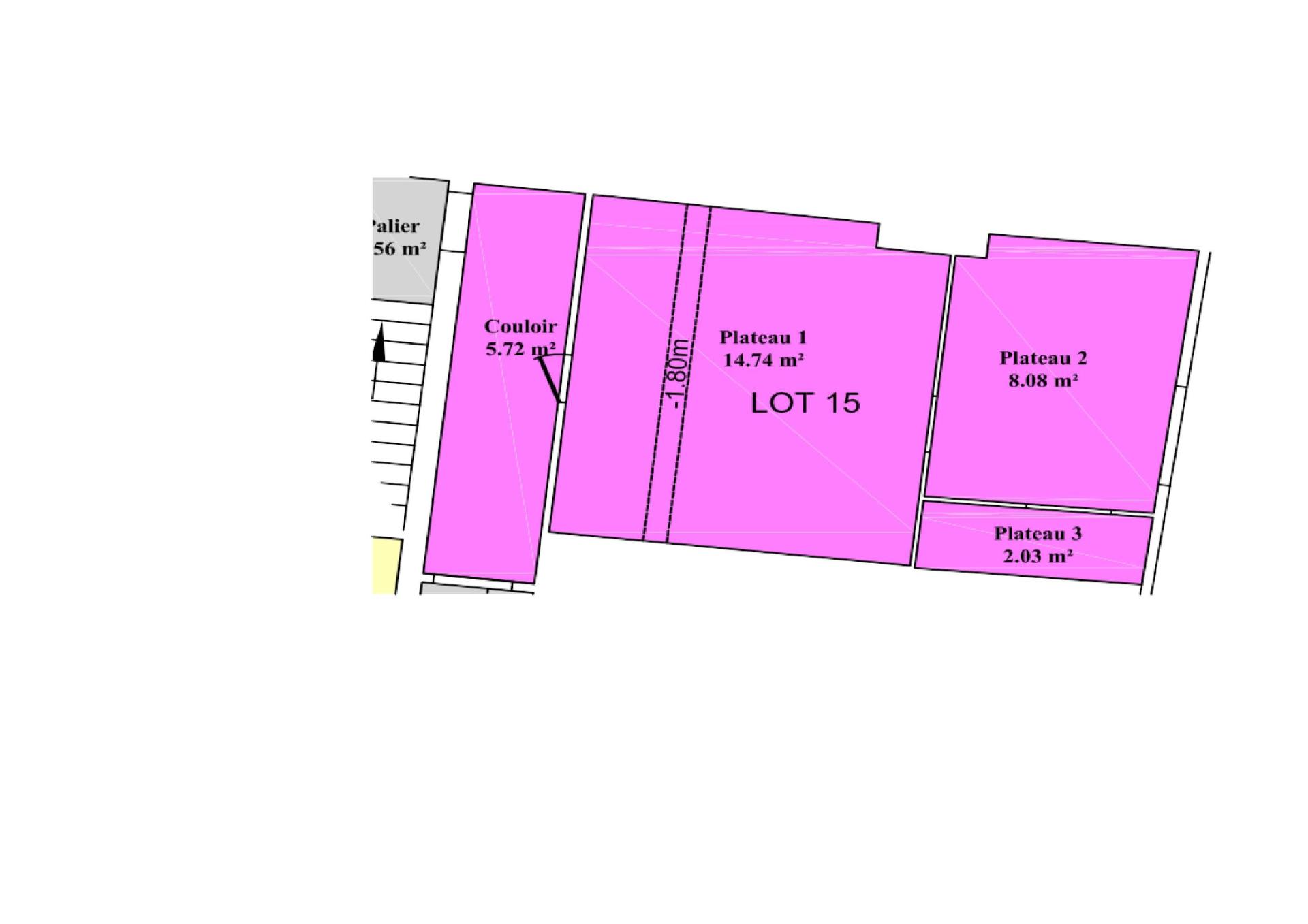
Aperçu de cet appartement à vendre de 3 pièces et 63 m²
Appartement
63m²
1/2
3
1
1
1
Fuel collectif
1900
Description de cet appartement à vendre de 3 pièces et 63 m²
T3 en duplex, rénovation importante
Situé à Pont-de-Veyle (01290), ce logement offre un cadre de vie pratique et charmant. Ses habitants profitent d'un environnement dynamique et de la proximité des commodités. Les infrastructures de transport permettent également de rejoindre aisément les villes voisines.
Le bien fait partie d'une petite copropriété composée de 6 logements principaux.
D'une surface totale de 63 m², cet appartement présente un agencement en duplex offrant diverses possibilités d'aménagement. Au premier niveau, une cuisine séparée, une pièce à vivre et une salle d'eau avec WC sont disponibles. Le deuxième niveau, à aménager, permet la création de deux chambres supplémentaires pour agrandir l'appartement. Des travaux de rénovation importants sont à prévoir notamment la création d'une trémie et le changement du système de chauffage en individuel.
Actuellement loué 242€ par mois, hors charge, cet appartement offre une rentabilité immédiate de 6,5%. Une démarche de relogement du locataire est en cours, ouvrant une opportunité d'investissement encore plus intéressante à moyen terme.
Contactez-nous pour davantage d'informations.
Le bien comprend 2 lots, et il est situé dans une copropriété de 15 lots (il n'y a pas de charges courantes liées à la copropriété et le syndicat des copropriétaires ne fait pas l'objet d'une procédure citée à l'article L. 721-1 du code de la construction et de l'habitation).
Les informations sur les risques auxquels ce bien est exposé sont disponibles sur le site Géorisques : www.georisques.gouv.fr
Prix de vente : 45 000 €
Honoraires charge vendeur
Contactez votre conseiller SAFTI : Elise CHEVRAU, Tél. : 0671708547, E-mail : elise.chevrau@safti.fr - EI - Agent commercial immatriculé au RSAC de Mâcon sous le numéro 909 662 140
Le bien fait partie d'une petite copropriété composée de 6 logements principaux.
D'une surface totale de 63 m², cet appartement présente un agencement en duplex offrant diverses possibilités d'aménagement. Au premier niveau, une cuisine séparée, une pièce à vivre et une salle d'eau avec WC sont disponibles. Le deuxième niveau, à aménager, permet la création de deux chambres supplémentaires pour agrandir l'appartement. Des travaux de rénovation importants sont à prévoir notamment la création d'une trémie et le changement du système de chauffage en individuel.
Actuellement loué 242€ par mois, hors charge, cet appartement offre une rentabilité immédiate de 6,5%. Une démarche de relogement du locataire est en cours, ouvrant une opportunité d'investissement encore plus intéressante à moyen terme.
Contactez-nous pour davantage d'informations.
Le bien comprend 2 lots, et il est situé dans une copropriété de 15 lots (il n'y a pas de charges courantes liées à la copropriété et le syndicat des copropriétaires ne fait pas l'objet d'une procédure citée à l'article L. 721-1 du code de la construction et de l'habitation).
Les informations sur les risques auxquels ce bien est exposé sont disponibles sur le site Géorisques : www.georisques.gouv.fr
Prix de vente : 45 000 €
Honoraires charge vendeur
Contactez votre conseiller SAFTI : Elise CHEVRAU, Tél. : 0671708547, E-mail : elise.chevrau@safti.fr - EI - Agent commercial immatriculé au RSAC de Mâcon sous le numéro 909 662 140
Informations additionnelles
Bilan énergétique
CLASSE ÉNERGIE ET CLASSE CLIMATm².anFi
Montant estimé des dépenses annuelles d'énergie pour un usage standard : entre 1360€ et 1890€ par an sur l'année 2021.
Ce bien vous est proposé par :

Elise Chevrau
Macon (71000)
36 biens en portefeuille
Je souhaite être recontacté
Un de vos proches a un projet immobilier ?
Achat ou vente, transmettez-moi l’info via l’appli SAFTI Connect et gagnez 875€ en moyenne.
