Terrain à vendre à LES MARTRES-DE-VEYRE de 604m²78 500 €
Réf 1496627
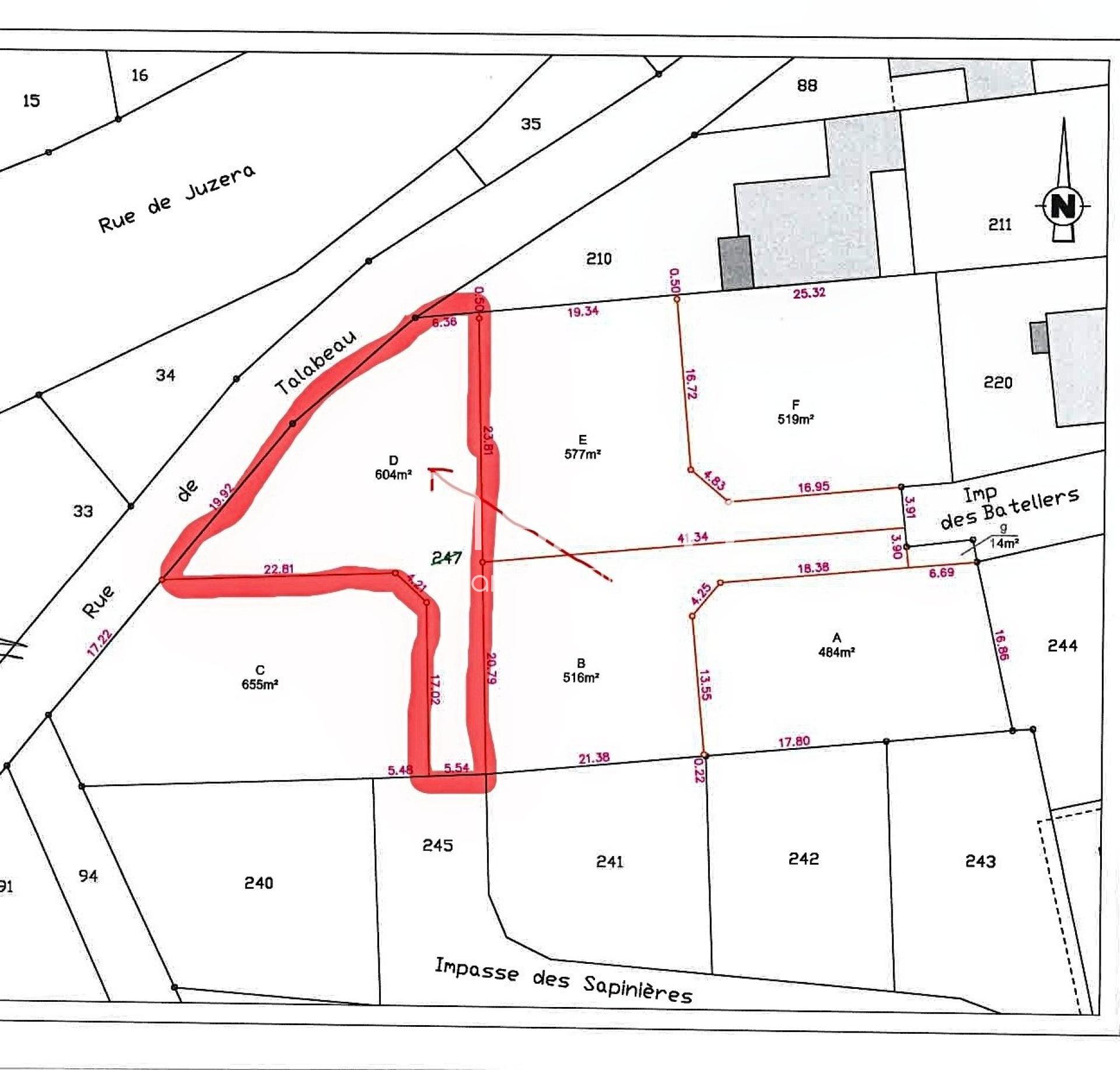
Aperçu de ce terrain à vendre de 604 m²
Terrain
604m²
604m²
Le point fort de ce terrain
Proche des commodités, partiellement clôturé
Description de ce terrain à vendre de 604 m²
TERRAIN CONSTRUCTIBLE VIABILISE LIBRE DE CONSTRUCTEUR
Situé dans la charmante commune des Martres-de-Veyre (63730), ce terrain à bâtir viabilisé de 604 m² offre un cadre de vie paisible et agréable. Les Martres-de-Veyre bénéficient d'un environnement calme tout en étant à proximité de toutes les commodités nécessaires au quotidien. De plus, la ville dispose d'une gare facilitant les déplacements en train, idéal pour les trajets professionnels. Les familles apprécieront la proximité des écoles et du collège.
Libre de constructeur et partiellement clôturé, ce terrain offre une belle opportunité de personnaliser entièrement son futur logement selon ses envies et ses besoins. Avec ses 604 m², il permet d'envisager la construction d'une maison spacieuse offrant ainsi un espace de vie confortable aux futurs propriétaires. Bénéficiant d'une situation géographique idéale, ce terrain constitue un investissement immobilier prometteur pour ceux en quête d'un projet de construction personnalisé dans un cadre de vie agréable et bien desservi.
Les informations sur les risques auxquels ce bien est exposé sont disponibles sur le site Géorisques : www.georisques.gouv.fr
Prix de vente : 78 500 €
Honoraires charge vendeur
Contactez votre conseiller SAFTI : Franck BERIOUX, Tél. : 0789448651, E-mail : franck.berioux@safti.fr - EI - Agent commercial immatriculé au RSAC de Clermont-Ferrand sous le numéro 530073204
Libre de constructeur et partiellement clôturé, ce terrain offre une belle opportunité de personnaliser entièrement son futur logement selon ses envies et ses besoins. Avec ses 604 m², il permet d'envisager la construction d'une maison spacieuse offrant ainsi un espace de vie confortable aux futurs propriétaires. Bénéficiant d'une situation géographique idéale, ce terrain constitue un investissement immobilier prometteur pour ceux en quête d'un projet de construction personnalisé dans un cadre de vie agréable et bien desservi.
Les informations sur les risques auxquels ce bien est exposé sont disponibles sur le site Géorisques : www.georisques.gouv.fr
Prix de vente : 78 500 €
Honoraires charge vendeur
Contactez votre conseiller SAFTI : Franck BERIOUX, Tél. : 0789448651, E-mail : franck.berioux@safti.fr - EI - Agent commercial immatriculé au RSAC de Clermont-Ferrand sous le numéro 530073204
Ce bien vous est proposé par :

Franck Berioux
Les Martres-de-Veyre (63730)
11 biens en portefeuille
Je souhaite être recontacté



