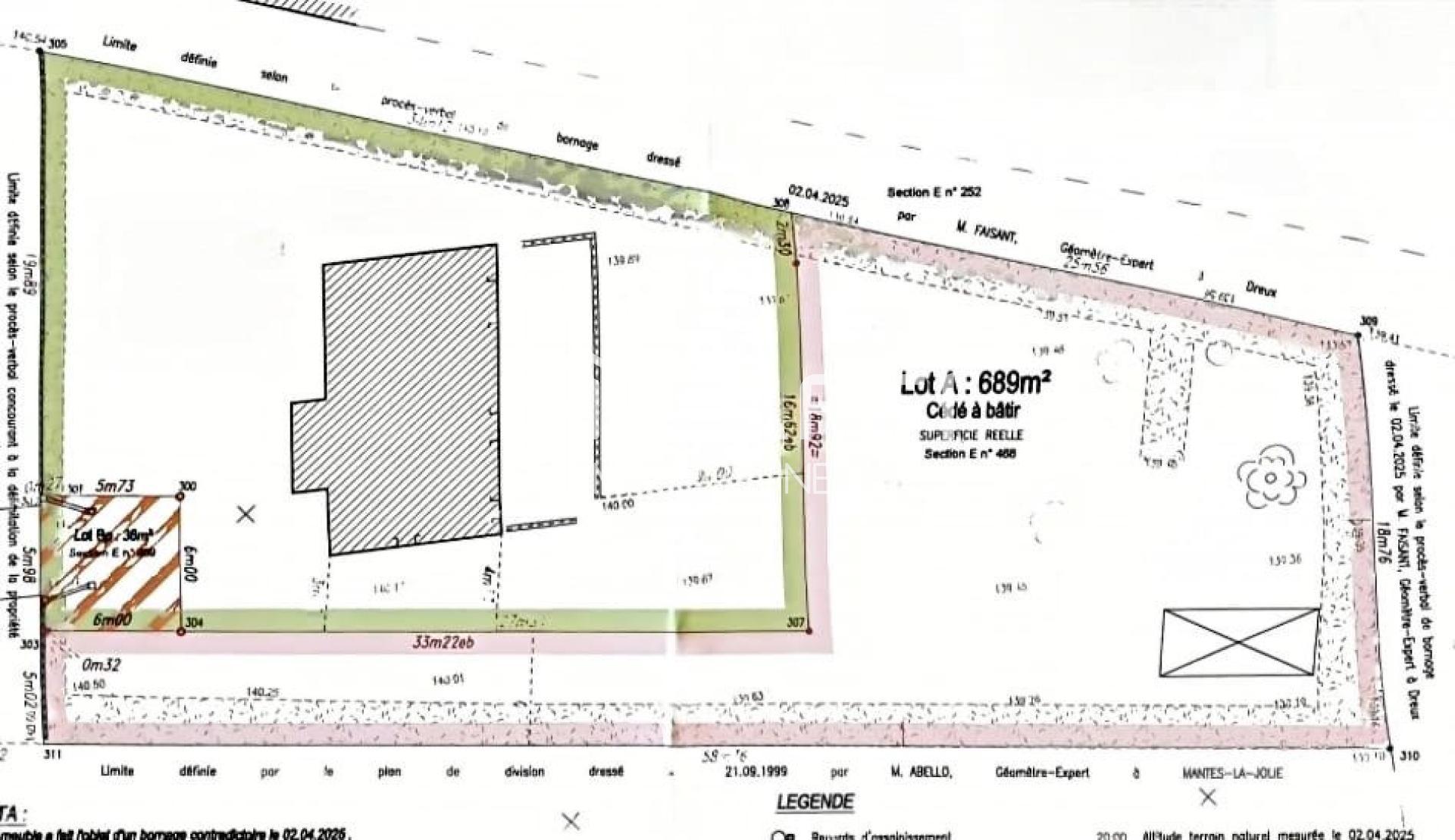
Terrain à vendre à BREVAL de 689m²97 000 €
Réf 1454264
Aperçu de ce terrain à vendre de 689 m²
Terrain
689m²
689m²
Le point fort de ce terrain
Terrain parfaitement entretenu et bien situé dans un quartier résidentiel calme
Description de ce terrain à vendre de 689 m²
Terrain viabilisé à bâtir de 670m2
Sur le village de Saint-Illiers-La-Ville, à 5 minutes de Bréval, venez découvrir ce beau terrain plat et entretenu d'environ 689 m², idéalement situé dans un environnement calme et verdoyant.
Ce terrain, dont la viabilisation s'achèvera début 2026, est libre de constructeur et vous offre ainsi la possibilité de concevoir la maison de vos rêves pour une surface plancher maximale autorisée de 250 m².
Situé au coeur du village, il offre une perspective d'emprise au sol intéressante pour une construction familiale.
Les atouts de ce terrain :
- Cadre campagne paisible ;
- Proche Gares Direction PARIS et Accès rapide N12 / A13 ;
- École, transports et commodités à proximité ;
- Environnement résidentiel recherché.
Une belle opportunité à saisir pour vivre ou investir dans les Yvelines !
Les informations sur les risques auxquels ce bien est exposé sont disponibles sur le site Géorisques : www.georisques.gouv.fr
Prix de vente : 97 000 €
Honoraires charge vendeur
Contactez votre conseiller SAFTI : Maud BRUNET, Tél. : 06 64 37 67 48, E-mail : maud.brunet@safti.fr - EI - Agent commercial immatriculé au RSAC de VERSAILLES sous le numéro 531 760 627
Ce terrain, dont la viabilisation s'achèvera début 2026, est libre de constructeur et vous offre ainsi la possibilité de concevoir la maison de vos rêves pour une surface plancher maximale autorisée de 250 m².
Situé au coeur du village, il offre une perspective d'emprise au sol intéressante pour une construction familiale.
Les atouts de ce terrain :
- Cadre campagne paisible ;
- Proche Gares Direction PARIS et Accès rapide N12 / A13 ;
- École, transports et commodités à proximité ;
- Environnement résidentiel recherché.
Une belle opportunité à saisir pour vivre ou investir dans les Yvelines !
Les informations sur les risques auxquels ce bien est exposé sont disponibles sur le site Géorisques : www.georisques.gouv.fr
Prix de vente : 97 000 €
Honoraires charge vendeur
Contactez votre conseiller SAFTI : Maud BRUNET, Tél. : 06 64 37 67 48, E-mail : maud.brunet@safti.fr - EI - Agent commercial immatriculé au RSAC de VERSAILLES sous le numéro 531 760 627
Ce bien vous est proposé par :

Maud Brunet
Breval (78980)
27 biens en portefeuille
Je souhaite être recontacté
















